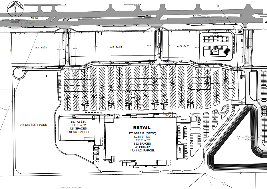
Posted in Observer Massive 171,000-square-foot retail store proposed for SR 100 lot in Palm Coast October 21, 2025 ‘My one concern about this project is the traffic that it will create,’ Vice Mayor Theresa Carli Pontieri said. ‘We already know this is a severe pain point.’
Posted in Observer Six-run sixth propels Providence to 10-6 baseball win over Flagler Palm Coast Posted byby user March 6, 2026 1 minute read 0 Comments
Posted in Observer Flagler Palm Coast Formality Singers receive straight superior ratings Posted byby user March 6, 2026 1 minute read 0 Comments
Posted in Observer Events calendar: Attend the 12th annual Granada Grand Festival of the Arts in Ormond Beach Posted byby user February 5, 2026 1 minute read 0 Comments